Öffentliche Bekanntmachungen
Jahresabschluss 2020 der Gemeinde Schechingen
Haushalt 2026 der Gemeinde Schechingen
Bekanntmachung der Entwidmung einer Teilfläche von Flst. 155
Der Gemeinderat hat in seiner Sitzung am 26.06.2025 beschlossen, dass die im untenstehenden Lageplan umrandete Teilfläche des Flst. 155 dem öffentlichen Straßenverkehr entzogen wird. Die Teilfläche wurde, wie das gesamte Grundstück, bis Anfang der 1990er-Jahre als Straße genutzt. Nach dem Neubau der Kreisstraße 3260 im Bereich der Kirche (Schießbergstraße) wurde der südwestliche Abschnitt der Straße zum Fußweg umgestaltet. Das Teilstück, welches eingezogen wird, wird seitdem als Grünfläche genutzt. Mit der Einziehung verliert die Straße die Eigenschaft einer öffentlichen Straße entsprechend dem Straßengesetz.
Satzung zur Änderung der Satzung der Jagdgenossenschaft Schechingen - Inkrafttreten am 06.06.2025
Amtliche Bekanntmachung - Inkrafttreten eines Bebauungsplanes „Brühlgärten“ mit örtlichen Bauvorschriften
Der Gemeinderat der Gemeinde Schechingen hat in seiner öffentlichen Sitzung am 15.05.2025 den Bebauungsplan „Brühlgärten“ mit örtlichen Bauvorschriften gemäß § 10 Abs. 1 Baugesetzbuch (BauGB) und § 74 Landesbauordnung (LBO) sowie § 4 Gemeindeordnung Baden-Württemberg (GemO) als Satzung beschlossen. Dieser Beschluss wird hiermit gemäß § 10 Abs. 3 BauGB bekannt gemacht. Der Geltungsbereich des Bebauungsplanes „Brühlgärten“ umfasst die Flurstücke 100/1, 102/8, 123/1, 123/6 und 123/7 sowie Teilflächen der Flurstücke 108 (Gäßle) und 121 der Flur 0 der Gemarkung Schechingen und hat eine Fläche von ca. 0,62 ha. Siehe dazu auch folgenden Planausschnitt.
Maßgebend für die Abgrenzung des Geltungsbereichs und den Inhalt des Bebauungsplanes sind der Lageplan und die textlichen Festsetzungen mit örtlichen Bauvorschriften des Büros LKP+ Ingenieure GbR, Mutlangen vom 12.12.2024 / 15.05.2025. Dem Bebauungsplan wird die Begründung (Anlage 1) des Büros LKP+ Ingenieure GbR, Mutlangen vom 12.12.2024 / 15.05.2025 und die Spezielle artenschutzrechtliche Prüfung (SaP) (Anlage 2) des Büros Visualökologie, Esslingen vom 23.10.2024 beigefügt. Mit dieser Bekanntmachung tritt der Bebauungsplan „Brühlgärten“ mit den örtlichen Bauvorschriften in Kraft (§ 10 Abs. 3 BauGB).
Jedermann kann den Bebauungsplan mit der Begründung im Rathaus Schechingen während der üblichen Öffnungszeiten (montags, mittwochs, donnerstags und freitags von 08:00 bis 12:00 Uhr, sowie dienstags von 14:00 bis 16:00 und donnerstags von 14:00 bis 18:00 Uhr) einsehen und über den Inhalt Auskunft verlangen. Des Weiteren sind die Unterlagen auf der Internetseite der Gemeinde Schechingen, www.schechingen.de/home/info/bebauungsplaene, eingestellt. Hinweise:Auf die Vorschriften des § 44 Abs. 3 Satz 1 und 2 BauGB über die Fälligkeit etwaiger Entschädigungs-ansprüche, deren Leistung schriftlich beim Entschädigungspflichtigen zu beantragen ist, und des § 44 Abs. 4 BauGB über das Erlöschen von Entschädigungsansprüchen wird hingewiesen.Gesetzliche Wirksamkeitsvoraussetzungen:
Unbeachtlich werden gemäß § 215 Abs. 1 Nr. 1 bis 3
1. eine nach § 214 Abs. 1 Satz 1 Nr. 1 bis 3 BauGB beachtliche Verletzung der dort bezeichneten Verfahrens- und Formvorschriften,
2. eine unter Berücksichtigung des § 214 Abs. 2 BauGB beachtliche Verletzung der Vorschriften über das Verhältnis des Bebauungsplanes und des Flächennutzungsplanes und
3. ein nach § 214 Abs. 2a beachtlicher Fehler oder
4. ein nach § 214 Abs. 3 Satz 2 BauGB beachtliche Mängel des Abwägungsvorganges,
wenn sie nicht innerhalb eines Jahres seit dieser Bekanntmachung schriftlich gegenüber der Gemeinde geltend gemacht worden sind. Bei der Geltendmachung ist der Sachverhalt, der die Verletzung oder den Mangel begründen soll, darzulegen.
Eine etwaige Verletzung von Verfahrens- oder Formvorschriften der Gemeindeordnung für Baden-Württemberg (GemO) oder von aufgrund der GemO erlassenen Verfahrensvorschriften ist nach § 4 Abs. 4 GemO unbeachtlich, wenn sie nicht schriftlich oder elektronisch und unter Bezeichnung des Sachverhalts, der die Verletzung begründen soll, innerhalb eines Jahres seit dieser Bekanntmachung schriftlich gegenüber der Gemeinde Schechingen, Marktplatz 1, 73579 Schechingen geltend gemacht worden sind. Bei der Geltendmachung ist der Sachverhalt, der die Verletzung oder den Mangel begründen soll, darzulegen.
Schechingen, den 19.05.2025
gez.
Stefan Jenninger
Bürgermeister
Haushalt 2025 der Gemeinde Schechingen
Öffentliche Bekanntmachung des erneuten Aufstellungsbeschluss und der öffentlichen Auslegung des Entwurfs des Bebauungsplanes „Brühlgärten“
Hier finden Sie die öffentliche Bekanntmachung des erneuten Aufstellungsbeschluss und der öffentlichen Auslegung des Entwurfs des Bebauungsplanes "Brühlgärten"
Bekanntmachung Auslegung zum Bebauungsplan "Brühlgärten" (PDF,604 KB)
Textteil zum Bebauungsplan "Brühlgärten" (PDF,332 KB)
Lageplan zum Bebauungsplan "Brühlgärten" (PDF,951 KB)
Begründung zum Bebauungsplan "Brühlgärten" (PDF,1,3 MB)
Relevanzprüfung/Faunakartierung zum Bebauungsplan "Brühlgärten" (PDF,4,8 MB)
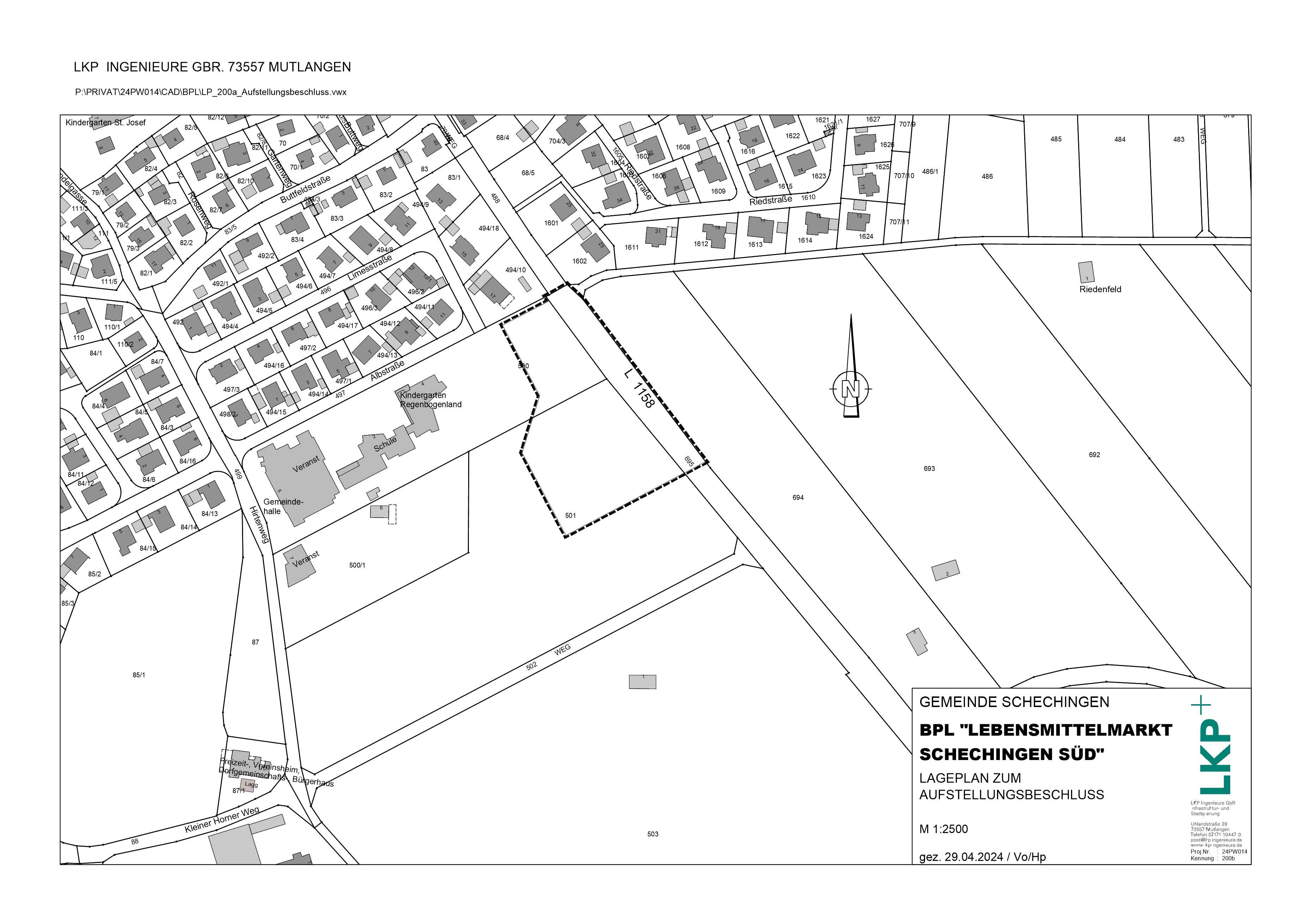
Aufstellungsbeschluss für den vorhabenbezogenen Bebauungsplan "Lebensmittelmarkt Schechingen-Süd"
Der Gemeinderat der Gemeinde Schechingen hat am 16.05.2024 in öffentlicher Sitzung die Aufstellung des vorhabenbezogenen Bebauungsplanes „Lebensmittelmarkt Schechingen-Süd“ beschlossen. Der Geltungsbereich des vorhabenbezogenen Bebauungsplanes umfasst die Teilflächen der Flurstücke 500, 501 und 695 der Flur 0, Gemarkung Schechingen mit einer Gesamtfläche von ca. 1,85 ha. Maßgebend für die Abgrenzung des Geltungsbereiches ist der im Lageplan des Büros LKP Ingenieure GbR, Mutlangen vom 29.04.2024 dargestellte Geltungsbereich. Siehe folgender Kartenausschnitt.Ziel des vorhabenbezogenen Bebauungsplanes ist die Ausweisung eines Sondergebiets zur Errichtung eines großflächigen Lebensmittelmarktes. Dieser soll die Grundversorgung in der Gemeinde Schechingen sicherstellen.
Der Beschluss zur Aufstellung des Bebauungsplanes wird hiermit gemäß § 2 Abs. 1 BauGB bekannt gemacht.
Durch die heutige Bekanntmachung wird den Bürgern der Beginn des Verfahrens eröffnet. Die frühzeitige Beteiligung der Öffentlichkeit gemäß § 3 Abs. 1 BauGB erfolgt zu einem späteren Zeitpunkt. Diese werden zu gegebener Zeit bekannt gemacht.
Gemeinde Schechingen, den 17.05.2024
gez.
Stefan Jenninger
Bürgermeister
Hier gelangen Sie zum Lageplan zum Aufstellungsbeschluss "Lebensmittelmarkt Schechingen-Süd">> (PDF,267 KB)
Bebauungspläne Gewerbegebiet Kappelfeld, 3. Bauabschnitt und "Nördlicher Schloßgarten"
Auslegungsunterlagen zum Bebauungsplan Gewerbegebiet Kappelfeld, 3. Bauabschnitt
Titelblatt >> (PDF,130 KB)
Textteil >> (PDF,452 KB)
Lageplan Kappelfeld >> (PDF,2,3 MB)
Anlage 1 Begründung >> (PDF,1,3 MB)
Anlage 2 Eingriffsausleichsbilanzierungsplan >> (PDF,715 KB)
Anlage 3 Artenschutzrechtliche Relevanzprüfung >> (PDF,4,1 MB)
Anlage 4 Baugrunduntersuchung >> (PDF,4,4 MB)
Anlage 5_1 Lageplan zur Ersatzmaßnahme E1 >> (PDF,1,9 MB)
Anlage 5_2 Lageplan zur Ersatzmaßnahme E2 >> (PDF,1,3 MB)
Anlage 5_3 Lageplan zur Ersatzmaßnahme E3 >> (PDF,2,7 MB)

